Początek strony
Wróć na początek strony Alt+0
Przejdź do wyszukiwarki Alt+1
Przejdź do treści głównej Alt+2
Przejdź do danych kontaktowych Alt+3
Przejdź do menu górnego Alt+4
Przejdź do menu lewego Alt+5
Przejdź do menu dolnego Alt+6
Przejdź do mapy serwisu Alt+8
Menu wysuwane
Herb podmiotu Biuletyn Informacji Publicznej Gmina Konstantynów Łódzki
Menu góra
Strona startowa Przetargi Ogłoszenia przetargowe - Nieruchomości 2018
Poleć stronę

Zapraszam do obejrzenia strony „I nieograniczony publiczny przetarg ustny na sprzedaż niezabudowanych nieruchomości gruntowy (kompleksów) położonych w Konstantynowie Łódzkim przy ul. Ignacew - 2018, menu 585, artykuł 1821 - BIP - Gmina Konstantynów Łódzki”

Zabezpieczenie przed robotami.
Przepisz co drugi znak, zaczynając od pierwszego.

P ) # @ % R F 3 - 0 A w s f d A P # @ :

Pola oznaczone są wymagane.

Treść główna

2018

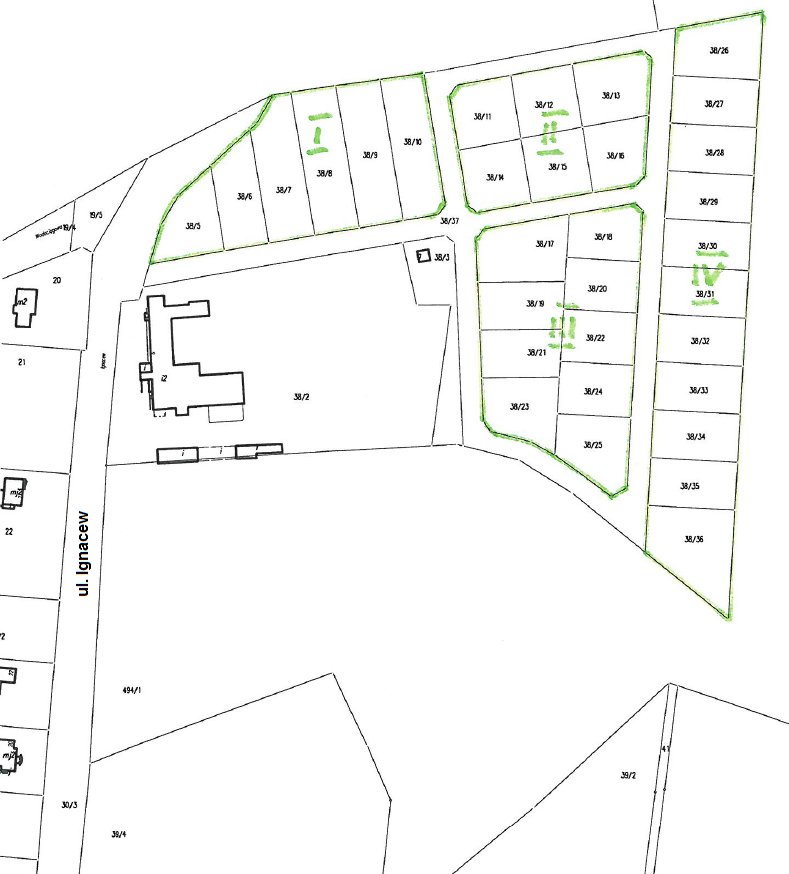
I nieograniczony publiczny przetarg ustny na sprzedaż niezabudowanych nieruchomości gruntowy (kompleksów) położonych w Konstantynowie Łódzkim przy ul. Ignacew

------- przetarg ignacew opis1.png
------- przetarg ignacew opis2.png

------- przetarg ignacew mapa1.png

Metryka

sporządzono
2018-08-09 przez Siciarz Justyna
udostępniono
2018-08-09 00:00 przez Justyna Siciarz
zmodyfikowano
2018-08-09 13:06 przez Siciarz Justyna
zmiany w dokumencie
ilość odwiedzin
508
Niniejszy serwis internetowy stosuje pliki cookies (tzw. ciasteczka). Informacja na temat celu ich przechowywania i sposobu zarządzania znajduje się w Polityce prywatności. Jeżeli nie wyrażasz zgody na zapisywanie informacji zawartych w plikach cookies - zmień ustawienia swojej przeglądarki.